Продається квартира Вінницька, Вінниця, Передмістя, Зарванці, Одеська (№ 213-174-933)

Ціна: 71 500 $
Характеристики
Ціна: | 71 500 $ |
---|---|
№ об'єкта: | 213-174-933 |
Кімнат: | 2 |
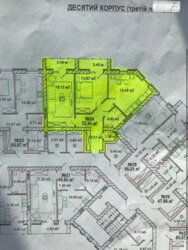
Поверх: | 3 / 9 |
Площа: | 72 / - / 15,49 м2 |
Адреса: Вінницька, Вінниця, Передмістя, Зарванці, Одеська
Продам 2х кімнатну квартиру ЖК Барський.
.
Здана 10 секція.Найкомфортніший 3 поверх, квартира не кутова.
Загальна площа 72, 04 кв м.
Хороше планування, 2 балкони з кімнат.
Газ вже в квартирі, лічильники вода, газ, світло.Можна вже робити ремонт.